৮ অক্টোবর ২০২৪
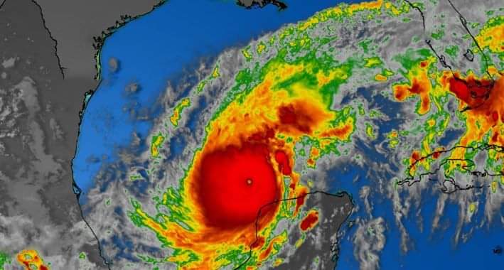
প্রবল শক্তি নিয়ে ধেয়ে আসছে ঘূর্ণিঝড় ‘মিল্টন’, আঘাত হানবে যখন
বিস্তারিত কমেন্টে
ডাউনলোড করুন
🎨 কাস্টম অপশন
লেআউট সিলেক্ট করুন:
ডিফল্ট
মডার্ন গ্রিড
ভিনটেজ
জিওমেট্রিক
ম্যাগাজিন
ক্রিয়েটিভ
Custom Title:
Custom Logo URL:
Or Upload Logo:
Custom Date:
Website Link:
Main Color (Card Border & Button):
Title Text Color:
Header Background Color:
Date Text Color:
Upload Footer Advertisement Image:
আপডেট করুন
প্রিভিউ